Familie Kürbisgewächse, Curcurbitacea
Die Stachelgurke stammt laut jüngeren wissenschaftlichen Untersuchungen wahrscheinlich
vom afrikanischen Kontinent.
Die meisten Forscher jedoch nehmen an, das die Wiege der wild wachsenden Gurken Indien ist.
Stachelgurke Herkunft
Dort wurde sie vor ca 3000 Jahren von indischen Bauern als Wildform kultiviert.
Sie wanderte nach China und Japan und ins einstige Mesopotamien.
Archäobotanische Grabungen bezeugen Samenfunde 700 v.u.Z. in Nimrud.
Während des altpersichen Reiches gelangte die Gurke als Reiseproviant nach Griechenland.
Ihre Reise ging weiter ins römische Reich und von dort aus über den Balkan ins nördliche Europa.
Die Stachelgurke wächst in der Heilerde vom Kompost des Heilgartens im Heilgarten
von „Licht aus der Jurte Shamanic Centre Vienna“.
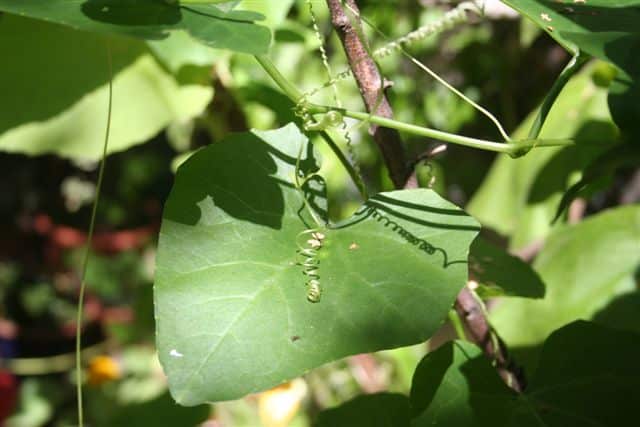
Die köstlich schmeckende Gurke gestaltet aus kleinen Samen sich ringelnde Stengel, die sich hartnäckig
an Stecken und Rankhilfen emporziehen und sich auf dem Weg dahin in alle Richtungen verbreiten.
Gurken brauchen das erdig – wässrige Element und Wärme um zu gedeihen.
Stachelgurke bienenfreundlich
Regina Hruska: „Wenn sie zu blühen beginnt, sind Hummeln und Bienen eifrige Gäste
an ihren Blüten.
Bienen Schamanismus
Sie sind Wärmewesen, deren Kultivierung seit dem 5. vorchristlichen Jahrhundert nachgewiesen ist.
Bienen tragen in ihrem Seelenleben eine große Weisheit, die auch in ihrer arbeitsteiligen, beziehungsschaffenden Tätigkeit des Gebens und Nehmens zum Ausdruck kommt.
Ein Garten sollte eine Heimstatt für Bienen und ein mannigfaltiges Insektenleben sein.“
Die Stachelgurke gibt köstlichen Salat für die Teilnehmer der Seminare und für Menschen,
die im Shamanic Centre Europe Termine und schamanische Beratung buchen.
Regina Hruska „Das heilsame Gewächs kam über einen Kontakt mit einer Schamanin aus Norwegen in das Shamanic Centre Europe
Schamanen in Österreich Kontakt










